
支援総額
430,000円
目標金額 400,000円
- 支援者
- 43人
- 募集終了日
- 2023年12月29日
https://readyfor.jp/projects/apricot-girl?sns_share_token=&utm_source=pj_share_url&utm_medium=social
2023年11月16日 13:13
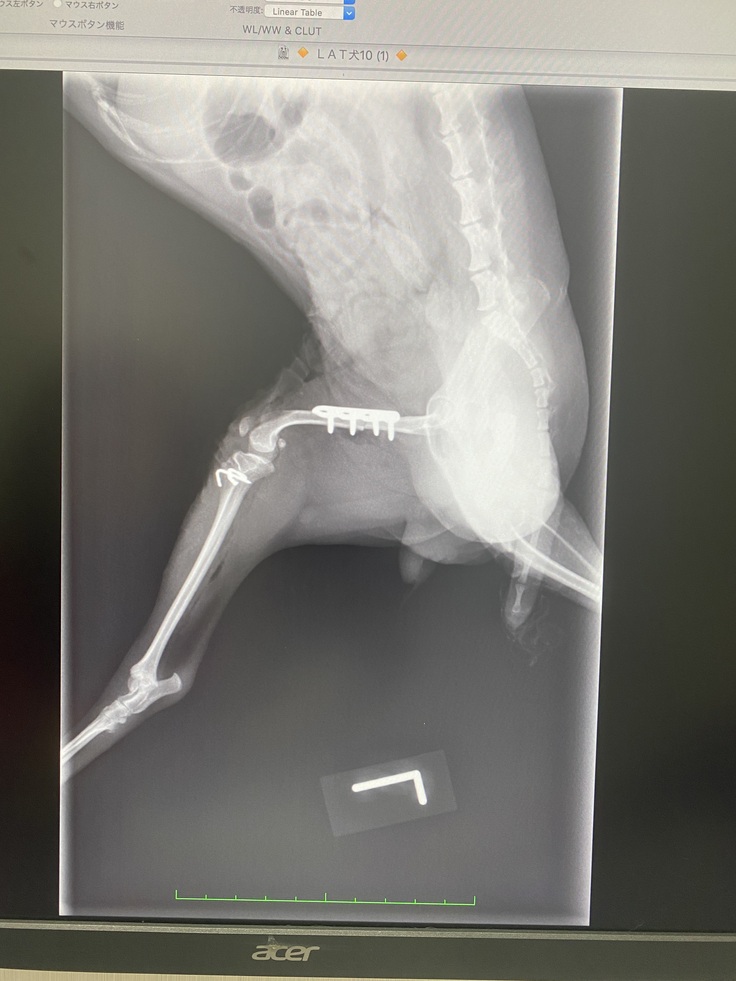
手術後のレントゲン写真


手術後のレントゲン写真です。
大腿骨部分切除したところを固定してるピンと別に、骨が細すぎるからとワイヤーでも固定してもらってます。
リターン
1,000円+システム利用料

Thanks1
感謝のメールと画像をお送りさせていただきます。
どうかご協力よろしくお願いいたします。
- 申込数
- 35
- 在庫数
- 制限なし
- 発送完了予定月
- 2024年2月
5,000円+システム利用料

Thanks2
感謝のメールと術後の経過報告と画像をお送りさせていただきます。
どうかご協力よろしくお願いいたします。
- 申込数
- 9
- 在庫数
- 制限なし
- 発送完了予定月
- 2024年2月
1,000円+システム利用料

Thanks1
感謝のメールと画像をお送りさせていただきます。
どうかご協力よろしくお願いいたします。
- 申込数
- 35
- 在庫数
- 制限なし
- 発送完了予定月
- 2024年2月
5,000円+システム利用料

Thanks2
感謝のメールと術後の経過報告と画像をお送りさせていただきます。
どうかご協力よろしくお願いいたします。
- 申込数
- 9
- 在庫数
- 制限なし
- 発送完了予定月
- 2024年2月
1 ~ 1/ 6
このページを見た人はこんなプロジェクトもチェックしています
東山 真理
itk311208
チョロ飼い主
老ねこケアホームしっぽのおうち 代表 千葉 ...
小原 颯太
NPO法人セブンデイズ
kinakomozuku

命の危機が迫っています!僧帽弁閉鎖不全症・三尖弁閉鎖不全症
105%
- 現在
- 737,000円
- 支援者
- 64人
- 残り
- 17日

ジジを助けたいです。元野良猫ジジのFIP治療費のお願い。
67%
- 現在
- 518,000円
- 支援者
- 93人
- 残り
- 3日

13年ケージに入れられていたチワワに手術を受けさせたい
16%
- 現在
- 181,000円
- 支援者
- 24人
- 残り
- 14日

老病ねこたちが最後まで安心して過ごせるおうちを守っていきたい!
#医療・福祉
82%
- 現在
- 2,052,000円
- 支援者
- 163人
- 残り
- 7日

【進行性脊髄軟化症】2度大手術をしたイブラへ、治療費ご支援のお願い
34%
- 現在
- 239,000円
- 支援者
- 36人
- 残り
- 13日

救う命を選ばない。どんな犬猫も保護し続け福岡の里親さんを増やしたい
#動物
109%
- 現在
- 3,275,000円
- 支援者
- 314人
- 残り
- 3時間

【4歳10ヶ月悪性リンパ腫】愛猫きなこの抗がん剤治療のためのご支援
25%
- 現在
- 233,000円
- 支援者
- 60人
- 残り
- 33日










